- Rathaus & Bürger
- Wohnen & Leben
- Freizeit & Tourismus
Amtliche Bekanntmachung
Nr. 18 / 2026 - Amtliche Bekanntmachung der Gemeinde Kiedrich
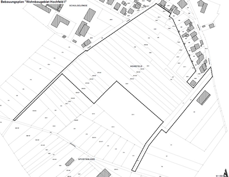
Die Gemeindevertretung der Gemeinde Kiedrich hat in ihrer Sitzung am 22.09.2023 die Aufstellung des o.g. Bebauungsplanes und im Parallelverfahren die Änderung des Flächennutzungsplanes der Gemeinde für das zukünftige Wohngebiet Hochfeld I beschlossen. Anlass des Bebauungsplanverfahrens ist die planerische Festsetzung des Gebietes.
Die „Frühzeitige Beteiligung“ der betroffenen Öffentlichkeit gemäß § 3 Absatz 1 BauGB hat in der Zeit vom 01.10.2025 bis einschließlich 31.10.2025 stattgefunden. Weiterhin wurden die berührten Behörden und sonstigen Träger öffentlicher Belange nach § 4 Absatz 1 BauGB mit Schreiben vom 30.09.2025 zur Stellungnahme aufgefordert.
Die aus diesem Beteiligungsverfahren hervorgegangenen Stellungnahmen der Öffentlichkeit sowie der betroffenen Behörden und Träger öffentlicher Belange wurden geprüft und gemäß § 1 Absatz 7 BauGB abgewogen. Aus den Abwägungen haben sich inhaltliche Änderungen des Bebauungsplanes ergeben.
Der wirksame Flächennutzungsplan mit integriertem Landschaftsplan von 1993 mit seinen Änderungen vom September 2001 ist das Plangebiet durch Flächen für den Gemeinbedarf mit der Zweckbestimmung „Sport und Freizeit“ sowie Agrarflächen geprägt, welche im Wesentlichen dem Außenbereich nach § 35 BauGB zuzuordnen ist.
Somit ist für die Aufstellung des Bebauungsplans für dieses Gebiet, die parallele Änderung des Flächennutzungsplanes gem. § 8 BauGB erforderlich.
Die Gemeindevertretung der Gemeinde Kiedrich beschloss in ihrer Sitzung am 13.03.2026
- Die Beteiligung der Träger öffentlicher Belange (TÖB) und die öffentliche Auslegung gem. § 4 Abs. 2 BauGB in Verbindung mit § 3 Abs. 2 BauGB für die Änderung des Flächennutzungsplans.
Zur Beteiligung der Öffentlichkeit an der Bauleitplanung nach § 3 Abs. 2 des Baugesetzbuches (BauGB) liegt der Entwurf der o.g. Änderung des Flächennutzungsplans mit Textfestsetzungen einschl. Begründung in der Zeit von 13.04.2026 bis einschließlich 15.05.2026 während folgender Dienststunden der Gemeindeverwaltung Kiedrich, Bauamt, Marktstraße 27 (Zimmer 2), 65399 Kiedrich
Montag, Dienstag und Donnerstag von 8.00 - 12.00 Uhr,
Mittwoch von 8.00 - 12.00 Uhr und 13.00 - 18.00 Uhr,
Freitag von 8.00 - 12.30 Uhr
oder nach telefonischer Vereinbarung zu jedermanns Einsichtnahme aus.
In dieser Zeit hat die Öffentlichkeit die Möglichkeit sich über die allgemeinen Ziele und Zwecke der Planung zu informieren und eventuelle Anregungen schriftlich oder zur Niederschrift vorzutragen.
Folgende umweltrelevante Informationen sind verfügbar:
- Umweltbericht mit Aussagen zu den Schutzgütern Mensch, Tiere und Pflanzen, Boden, Wasser, Klima / Luft, Landschaftsbild sowie den Ausgleichsmaßnahmen im Sinne des allgemeinen Eingriffs in Natur und Landschaft und der Eingriff-Ausgleich-Bilanzierung, in der Fassung vom 24.03.2026
- Bestandsplan, Stand: 24.02.2026
- Konflikt- und Maßnahmenplan, Stand: 24.03.2026
- Hydrologischer Bericht, Stand: 15.11.2024
- Geotechnischer Bericht, Stand: 04.06.2025
- Entwässerungskonzept, Stand: 27.08.2025
- Verkehrsgutachten, Stand: 13.02.2026
- Schalltechnisches Gutachten, Stand: 04.02.2026
- Stellungnahmen der frühzeitiger Öffentlichkeits- und Behördenbeteiligung | Abwägungstabelle mit folgenden umweltbezogenen Stellungnahmen:
Abwasserverband Oberer Rheingau
- Niederschlagswasserbewirtschaftung: Aufgrund der geringen Versickerungsfähigkeit des Bodens wird das Regenwasser gesammelt, zurückgehalten und gedrosselt in den Kanal eingeleitet. Dies stellt eine zentrale Maßnahme zur Steuerung des Wasserhaushalts dar.
- Regenwassernutzung: Die verpflichtende Errichtung von Zisternen wird als sinnvoll hervorgehoben, da Niederschlagswasser für die Gartenbewässerung genutzt werden kann und so Trinkwasser eingespart wird.
- Hochwasservorsorge und Starkregenmanagement: Durch Rückhaltungssysteme (Zisternen und Rigolen) wird das Risiko von Überflutungen bei Starkregen reduziert.
- Klimaanpassung: Die Maßnahmen zur Wasserrückhaltung und -nutzung leisten einen Beitrag zur Anpassung an klimatische Veränderungen, insbesondere längere Trockenperioden und Starkregenereignisse.
Hessen Mobil
- Verkehrsbedingte Umweltwirkungen: Die Stellungnahme fordert eine genauere Untersuchung der durch das Baugebiet entstehenden Verkehrsströme, da diese zu zusätzlichen Umweltbelastungen (z. B. Luftschadstoffe, Lärm) führen können.
- Nachhaltige Mobilität: Es wird angeregt, auch die Belange des Rad- und Fußverkehrs sowie des öffentlichen Nahverkehrs systematisch zu berücksichtigen, um umweltfreundliche Mobilitätsformen zu stärken.
Kreisausschuss – Fachdienst IV.2 Umwelt, Immissionsschutz
- Lärmemissionen: Es wird eine fachgutachterliche Untersuchung der Lärmbelastung durch benachbarte Sportanlagen sowie technische Anlagen (z. B. Wärmepumpen) empfohlen, um mögliche Gesundheits- und Umweltbeeinträchtigungen zu bewerten.
- Lichtimmissionen: Sowohl durch Sportanlagen als auch durch private und öffentliche Beleuchtung können Störungen entstehen. Es werden Maßnahmen zur Reduzierung von Blendung und Streulicht empfohlen.
Kreisausschuss – Fachdienst IV.2 Umwelt, Naturschutz
- Artenschutz: Es liegen Hinweise auf das Vorkommen des Gartenschläfers vor, was zusätzliche Schutzmaßnahmen erforderlich macht.
- Vogelschutz: Große Glasflächen können zu Vogelschlag führen, weshalb entsprechende bauliche Maßnahmen empfohlen werden.
- Erhalt von Dunkelräumen: Dunkle Bereiche ohne künstliche Beleuchtung sind für viele Tierarten wichtig und sollen erhalten bzw. gefördert werden.
- Gehölz- und Baumschutz: Bestehende, insbesondere ältere Bäume sollen möglichst erhalten werden. Zudem sind Schutzmaßnahmen während der Bauphase einzuhalten.
- Rodungsminimierung: Eingriffe in Gehölzbestände sollen so weit wie möglich reduziert werden.
- Insektenfreundliche Beleuchtung: Beleuchtungssysteme sollen so gestaltet werden, dass sie Insekten möglichst wenig beeinträchtigen.
- Biotopbewertung und Ausgleich: Die Bewertung von Biotopen sowie die Berechnung des Kompensationsbedarfs werden kritisch hinterfragt und sollen angepasst werden.
- Versiegelung: Eine Begrenzung der Bodenversiegelung wird empfohlen, um negative Auswirkungen auf Boden und Wasserhaushalt zu minimieren.
- Landschaftsbild: Eine Eingrünung des Ortsrandes wird angeregt, um das Baugebiet besser in die Landschaft einzubinden.
- Kleinklima: Dachbegrünungen werden empfohlen, da sie zur Verbesserung des Mikroklimas beitragen.
- Artenauswahl: Bestimmte Baumarten werden aufgrund von Krankheiten bzw. invasivem Verhalten kritisch gesehen.
Kreisausschuss – Fachdienst IV.2 Umwelt, Wasserrecht
- Niederschlagswasser: Es besteht Klärungsbedarf hinsichtlich der geplanten Entwässerungssysteme (Rigolen), insbesondere ob eine Versickerung oder nur Rückhaltung vorgesehen ist.
- Grundwasserschutz: Bei Versickerung ist sicherzustellen, dass nur unbelastetes Wasser eingeleitet wird.
- Belastung durch Verkehrsflächen: Niederschlagswasser von Straßen kann Schadstoffe enthalten und muss ggf. behandelt werden.
Regierungspräsidium Darmstadt, Regionalplanung
- Flächeninanspruchnahme: Das Vorhaben betrifft landwirtschaftliche Flächen sowie Bereiche mit besonderen Klimafunktionen und regionalen Grünzügen.
- Klimafunktionen: Die betroffenen Flächen haben eine Bedeutung für das regionale Klima, weshalb Eingriffe besonders zu prüfen sind.
Regierungspräsidium Darmstadt, Grundwasser
- Grundwasserschutz: Es werden keine negativen Auswirkungen auf Grundwasser festgestellt.
Regierungspräsidium Darmstadt, Bodenschutz
- Bodenfunktionen: Teile des Plangebiets weisen hochwertige Böden auf, deren Verlust als erheblich bewertet wird.
- Vorsorgender Bodenschutz: Es wird gefordert, diese Böden besonders zu berücksichtigen und Eingriffe zu minimieren.
- Altlasten: Es liegen keine Hinweise auf Altlasten vor, dennoch wird auf die Bedeutung einer kontinuierlichen Datenerfassung hingewiesen.
Weiterhin sind die Planunterlagen auf der Internetpräsenz der Gemeinde unter dem nachfolgenden Link veröffentlicht und können dort jederzeit eingesehen werden:
https://www.kiedrich.de/wohnen-leben/wohnen-und-bauen/bebauungsplaene/
Es wird darauf hingewiesen, dass Stellungnahmen, die im Verfahren der Öffentlichkeitsbeteiligung nicht rechtzeitig abgegeben worden sind, bei der Beschlussfassung über den Bauleitplan unberücksichtigt bleiben können und dass ein späterer Normenkontrollantrag unzulässig ist, soweit mit ihm Einwendungen geltend gemacht werden, die vom Antragsteller im Rahmen der Auslegung nicht oder verspätet geltend gemacht wurden, aber hätten geltend gemacht werden können.
Kiedrich, den 07.04.2026
Der Gemeindevorstand der Gemeinde Kiedrich
Steinmacher
Bürgermeister
Anlage: Katasterkarte mit Geltungsbereich

